signet 4 fois
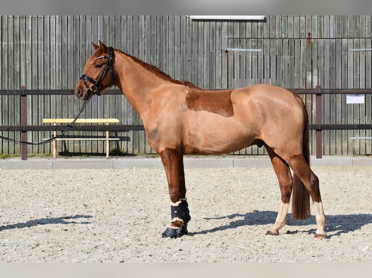
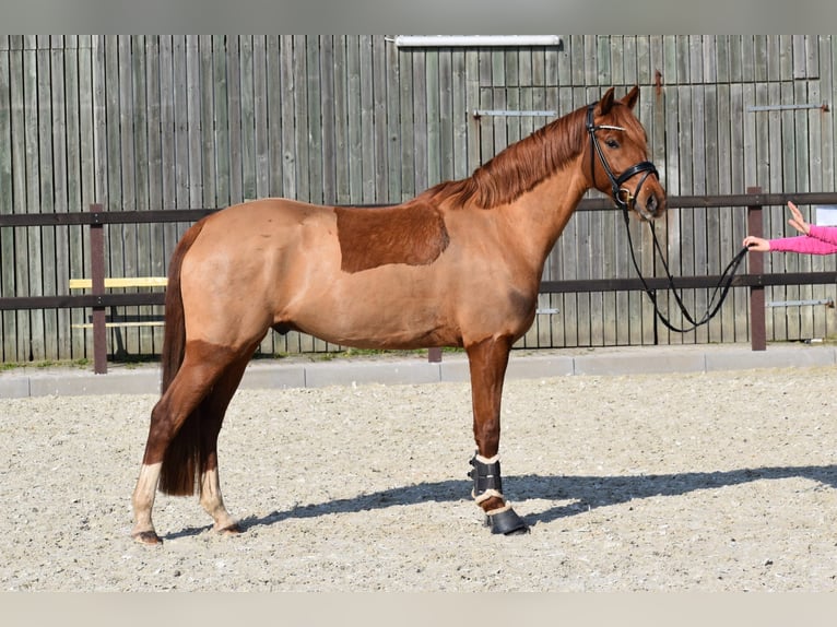
Jeune hongre de poney XXL de 5 ans, plein de talent
16.500 €
16.500 €
Identifiant de l'annonce: 4786168
Type d’annonce: Cheval à vendre
Date de publication: 22.03.2026
Appels publicitaires: 167
Message
Je suis intéressé – contactez-moi
Sauvegarder
est monté
est longé
est travaillé à pied
est polyvalent
embarque facilement
Visite d'achat disponible
Sage au ferrage
adapté aux enfants
directement chez l'éleveur
Description
Allemand
-
Anglais
-
Espagnol
-
Italien
-
Néerlandais
-
Polonais
-
Allemand
-
Français
Zum Verkauf steht ein vielversprechender Deutscher- Reitpony-Wallach, genannt Dancing Fire abstammend vom Dance Star At und geboren im Jahr 2021. Dieser charmante Fuchs besticht durch sein elegantes Erscheinungsbild und sein angenehmes Temperament. Mit einem Stockmaß von 152 cm ist er perfekt für den ambitionierten Freizeitreiter oder den aufstrebenden Turnierreiter geeignet. Der Wallach zeigt bereits gute Ansätze in der Dressur und überzeugt durch seine aufgeschlossene und lernbereite Art. Er ist gut geritten, aufmerksam und besitzt eine solide Grundausbildung. Im täglichen Umgang ist er sehr lieb, hat aber positives ,,Go,, unterm Sattel. Daher ist er nichts für den reinen Anfänger. Die Mutter selbst war in allen Sparten erfolgreich ( Springen bis L) daher denke ich das man mit ihm in allen Sparten erfolgreich sein kann. Im Freispringen zeigt er sich auch motiviert und macht einen guten Sprung. Dieses talentierte Reitpony ist ein echtes Allround-Talent, das mit seiner charmanten Art und seinem Potenzial begeistert. Es ist eine ideale Ergänzung für jeden Ponyliebhaber, der Wert auf Qualität, Charakter und Zukunftspotenzial legt. Selbstverständlich verladefromm, man kann mit ihm einfach alleine losfahren und reiten. Bei uns steht er in einer gemischten Herde, nachts in der Box und tagsüber auf dem paddock. Er befindet sich in Beritt und daher steigt der Preis mit zunehmender Ausbildung. Aktuelle Röntgenbilder liegen vor ohne Befund ! Keine Schulbetriebe ! Platz vor Preis ! Bei Interesse freue ich mich über eine Nachricht oder per Telefon: 0176/45979929
Ascendance
DANCE STAR ATDRESSMAN LST. PR. STUTE GINADOMINGOST. PR. STUTE NADINEFOLKLOREGIANA
BelissimaBRILLIANTBACARA (SL.)PIRAN JOHN HALIFAXLAWRENCE LILACTIMEBALATON (SL.)BARDA (SL.)
Page d'accueil: milabraje
Comment contacter le fournisseur
* Champs obligatoires
Envoyer message
Autres annonces de ce propriétaire
Message
