
signet 0 fois
Eyecatcher: correct, goudeerlijk 9 jarige rijpaard
5.950 €
5.950 € A débattre
Identifiant de l'annonce: 4630295
Type d’annonce: Cheval à vendre
Date de publication: 01.10.2025
Appels publicitaires: 109
Message
Je suis intéressé – contactez-moi
Sauvegarder
avec contrat de protection
accessoires incl.
Visite d'achat disponible
Passeport disponible
Description
Néerlandais
- Allemand
- Italien
- Polonais
- Anglais
- Espagnol
- Français
- Néerlandais
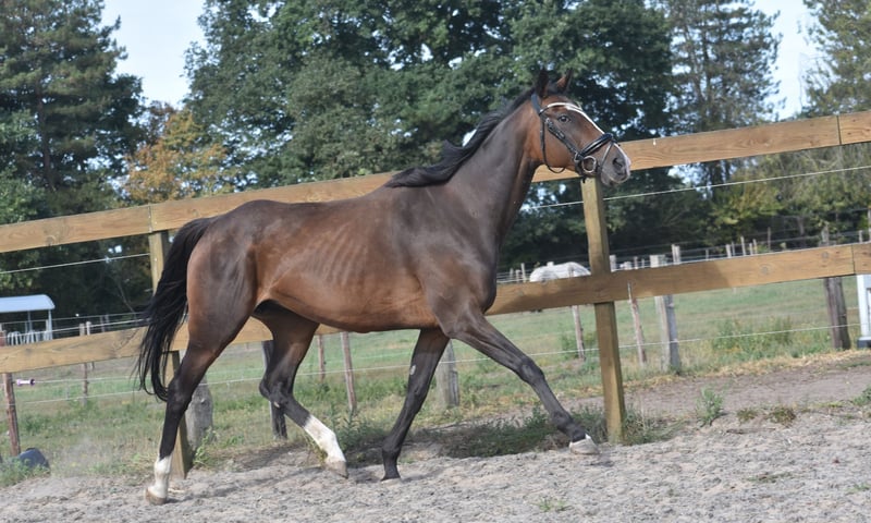
Paddy is een 9 jarige dame van ca. 1.62m hoog, met een afstamming van Leading Light x Caoba by Hernando ( FR) Ze heeft een chique, maar toch degelijke bouw met mooie lange benen en laat zich hier fijn rijden. Paddy is allesbehalve lui en ze werkt graag voor haar ruiter. Daarbij heeft ze een zacht mondje en reageert ze fijn op de hulpen. Een zware hand is bij haar absoluut niet nodig. In bezit van zeer recent keuringsrapport inclusief bloedafname. Paddy is verkeersmak, gezond en vrij van gebreken. Voor de fokkerij is ze eveneens zeer interessant! Prijs € 5950,- incl merkzadel. Het reserveren van dit paardje is wellicht mogelijk, kijkt u even op onze website? Paard op afbetaling kopen Het is nu mogelijk je paard(je)op basis van deel termijnen te kopen bij Stal Doorstap. Voorwaarde is dat het paard de periode van financiering op het terrein van Stal Doorstap blijft. Uiteraard kun jij dan van de hele accommodatie gebruik maken met het paard. De kosten voor het paard komen voor je rekening, evenals de afbetaling. Het is niet mogelijk de deelbetalingen terug te ontvangen. Denk er dus wel goed over na.

Page d'accueil: stal-doorstap
Comment contacter le fournisseur
* Ces champs doivent être remplis
Envoyer message
Autres annonces de ce propriétaire
Message
Copyright 1999-2025 • ehorses GmbH & Co. KG • ehorses.fr - pour particuliers et professionnels.
Acheter et vendre des chevaux.
Acheter et vendre des chevaux.